Lot48B-F Platts Rd Ashburnham, MA 01430

Active

$75,000
Price

About

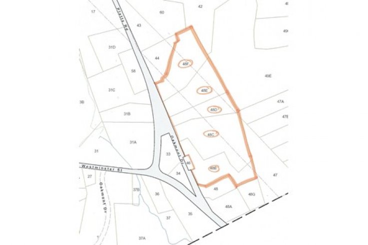
HUGE PRICE REDUCTION: If you are seeking a large lot to build your home on, this is it! Great opportunity to purchase about 16 acres of land near schools and Westminster town line. Identified on town GIS maps Lots 48B, 48C, 48D, 48E and 48F. There are 5 lots and at least 3 are build-able. One home on a large parcel could offer loads of privacy. There is a hill on the backside of some of the lots. Build your dream home or a family compound. Great price for all the potential this area offers.

  • Property Type Land
  • City Ashburnham
  • County Worcester
  • MLS# 72693037
  • Lot Size 729,502 sqft

Location

Interior Features

Bathroom Information

  • # of Bathrooms (Full) :
  • # of Bathrooms (1/2) :
  • Master Bathroom :

Utilities

Utilities Information

  • Water Source : Private
  • Sewer and Water :
  • Water Front :
  • Hot Water :

Property/Lot Details

Lot Information

  • Living Area (sqft) : N/A
  • Lot Size in Acres : 16.75

Nearby Similar Homes

$619,900

  • 4 bd
  • 4 ba
  • 4,709 sqft

25 Sherbert Rd

Ashburnham, MA 01430

$169,900

  • 2 bd
  • 1 ba
  • 1,380 sqft

104 Fitchburg Road

Ashburnham, MA 01430

$230,000

  • 2 bd
  • 1 ba
  • 1,498 sqft

2 Jewell Hill Rd

Ashburnham, MA 01430

$129,900

  • — bd
  • — ba
  • — sqft

Lot 12 B Old County Road

Ashburnham, MA 01430

$55,000

  • — bd
  • — ba
  • — sqft

0 Winding Cove Rd

Ashburnham, MA 01430

$51,000

  • — bd
  • — ba
  • — sqft

155 Tuckerman Road

Ashburnham, MA 01430

Go Tour This Home

It's free, with no obligation — cancel anytime

Nearby Similar Homes

Best Selling