Lot 82 Petersham Rd Athol, MA 01331

Active

$975,000
Price

About

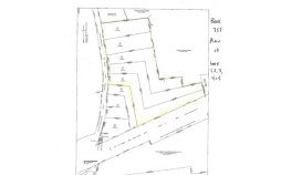
Developers, Builders, Investors. Large 200+- combined lots for sale. See Disclosure. Package includes 1 ANR Lot on Route 32, 161 acre parcel for OSRD Community and 38 acre parcel to be left as Open Space. Conceptual 35 Unit OSRD plan has been presented and warmly received by all Town Boards. Developer to fine tune and submit for final approvals. Gently sloping to large, level expanse. Over 400 feet of road frontage on Route 32. Town Water & Electric at street. Rural Residential zoned, but many other uses allowed either by "by right" or obtained by special permit. Buyer/Buyer Agent to perform due diligence as to highest and best use. Property sold "as is" and all permitting, engineering costs and utility connections are at Buyer expense. Close to Route 2 and Area Amenities. A Perfect Opportunity to add much needed Housing Stock in a Great Rural Community yet close to major Cities (Boston, Worcester, Springfield, Amherst, Keene & Southern NH) Come see what North Central MA has to offer.

  • Property Type Land
  • City Athol
  • County Worcester
  • MLS# 72775009
  • Lot Size 8,712,000 sqft

Location

Interior Features

Bathroom Information

  • # of Bathrooms (Full) :
  • # of Bathrooms (1/2) :
  • Master Bathroom :

Utilities

Utilities Information

  • Water Source : At Street
  • Sewer and Water :
  • Water Front :
  • Hot Water :

Property/Lot Details

Lot Information

  • Living Area (sqft) : N/A
  • Lot Size in Acres : 200.00

Nearby Similar Homes

$365,000

  • — bd
  • — ba
  • — sqft

0 Brickyard Road

Athol, MA 01331

$950,000

  • — bd
  • — ba
  • — sqft

1190 Brickyard Rd

Athol, MA 01331

$375,000

  • — bd
  • — ba
  • — sqft

Lots 89-93 Petersham Rd

Athol, MA 01331

$155,000

  • 5 bd
  • 2 ba
  • 2,764 sqft

20 Pine Street

Athol, MA 01331

$450,000

  • — bd
  • — ba
  • — sqft

0 Spring St Ext & Victoria Av

Athol, MA 01331

$1,500,000

  • 24 bd
  • 12 ba
  • 12,500 sqft

350 Riverbend st # 1-12

Athol, MA 01331

Go Tour This Home

It's free, with no obligation — cancel anytime

Nearby Similar Homes

Best Selling