270 MAIN ST. COMM. LOT Agawam, MA 01101

Active

$365,000
Price

About

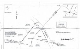
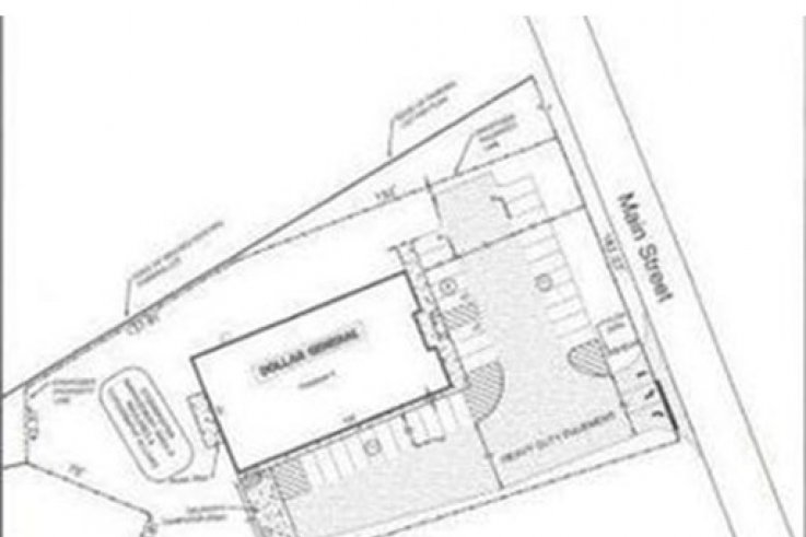
LOCATED IN OPPORTUNITY ZONE! (purchase with any capital gain and pay no taxes on profit in10 years) Industrial zoning in Agawam means anything can be built except residential. OPPORTUNITY KNOCKS as Owner will consider OPTIONING THE PROPERTY! FOR $1.00 until you find your tenant. Reasonably Priced at $365,000, Exceptionally positioned 1.22+/- acre parcel on Rt 159 to be subdivided from 270 Main Street. Located next to Budget Cabinet. Owner will help develop, sell, Joint Venture, Lease, exchange etc. This excess parcel is "Today land" with a heavy traffic count near all major routes and highways. Owner is willing to trade this property along with up to $450,000 in cash ($815,000) to purchase any non-residential commercial real estate.

  • Property Type Land
  • City Agawam
  • County Hampden
  • MLS# 72766411
  • Lot Size 53,143 sqft

Location

Interior Features

Bathroom Information

  • # of Bathrooms (Full) :
  • # of Bathrooms (1/2) :
  • Master Bathroom :

Utilities

Utilities Information

  • Water Source : Public,At Street
  • Sewer and Water :
  • Water Front :
  • Hot Water :

Property/Lot Details

Lot Information

  • Living Area (sqft) : N/A
  • Lot Size in Acres : 1.22

Nearby Similar Homes

$479,900

  • 4 bd
  • 2 ba
  • 2,200 sqft

684 Cooper Street

Agawam, MA 01001

$565,000

  • 5 bd
  • 3 ba
  • 3,323 sqft

114 Wagon Wheel Dr

Agawam, MA 01030

$455,000

  • 3 bd
  • 2 ba
  • 1,554 sqft

14 Aspenwood Lane

Agawam, MA 01001

$149,900

  • — bd
  • — ba
  • — sqft

0 Shoemaker Ln

Agawam, MA 01001

$299,900

  • — bd
  • — ba
  • — sqft

I-1 Aspenwood Lane

Agawam, MA 01001

$249,000

  • 3 bd
  • 1 ba
  • 1,402 sqft

715 Springfield Street

Agawam, MA 01001

Go Tour This Home

It's free, with no obligation — cancel anytime

Nearby Similar Homes

Best Selling