Lots 89-93 Petersham Rd Athol, MA 01331

Active

$375,000
Price

About

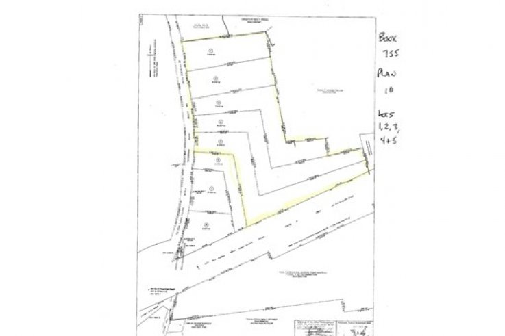
35+ acres with over 1,000 feet of frontage located in an Industrial Commercial District. Sloping terrain. Near Rt 2 exit/access. Ideally suited for Solar Field development. 5 surveyed building lots comprise the parcel.

  • Property Type Land
  • City Athol
  • County Worcester
  • MLS# 72620420
  • Lot Size 1,538,539 sqft

Location

Interior Features

Bathroom Information

  • # of Bathrooms (Full) :
  • # of Bathrooms (1/2) :
  • Master Bathroom :

Utilities

Utilities Information

  • Water Source : Private
  • Sewer and Water :
  • Water Front :
  • Hot Water :

Property/Lot Details

Lot Information

  • Living Area (sqft) : N/A
  • Lot Size in Acres : 35.32

Nearby Similar Homes

$178,500

  • 4 bd
  • 2 ba
  • 1,748 sqft

83 Sanders Street

Athol, MA 01331

$209,900

  • 4 bd
  • 3 ba
  • 2,235 sqft

477 Cottage Street

Athol, MA 01331

$249,900

  • 4 bd
  • 2 ba
  • 2,580 sqft

718 CHESTNUT HILL AVENUE

Athol, MA 01331

$450,000

  • — bd
  • — ba
  • — sqft

0 Spring St Ext & Victoria Av

Athol, MA 01331

$275,000

  • 3 bd
  • 1 ba
  • 1,092 sqft

908 Brickyard Road

Athol, MA 01331

$1,500,000

  • 3 bd
  • 3 ba
  • 3,441 sqft

818 Carpenter Rd

Athol, MA 01331

Go Tour This Home

It's free, with no obligation — cancel anytime

Nearby Similar Homes

Best Selling