Lot 1 RAMSHORN ROAD Charlton, MA 01507

Active

$69,000
Price

About

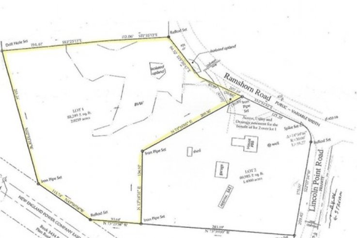
Picture your your new home set back on this peaceful 2 acre wooded site with rambling stone walls. Property has been surveyed and flagged. 180 feet of frontage on Ramshorn Rd. Owner has perc report in hand. Lot has been subdivided from larger parcel. Buyer to perform all necessary due diligence.

  • Property Type Land
  • City Charlton
  • County Worcester
  • MLS# 72617054
  • Lot Size 88,249 sqft

Location

Interior Features

Bathroom Information

  • # of Bathrooms (Full) :
  • # of Bathrooms (1/2) :
  • Master Bathroom :

Utilities

Utilities Information

  • Water Source : Private
  • Sewer and Water :
  • Water Front :
  • Hot Water :

Property/Lot Details

Lot Information

  • Living Area (sqft) : N/A
  • Lot Size in Acres : 2.03

Nearby Similar Homes

$569,900

  • 4 bd
  • 2 ba
  • 2,800 sqft

Lot 5.11 Osgood Rd

Charlton, MA 01507

$90,000

  • — bd
  • — ba
  • — sqft

0 Dresser Hill Rd

Charlton, MA 01507

$199,900

  • — bd
  • — ba
  • — sqft

0 Freeman Rd

Charlton, MA 01507

$99,800

  • — bd
  • — ba
  • — sqft

Lot 4 Daniels Road

Charlton, MA 01507

$799,900

  • 6 bd
  • 3 ba
  • 5,172 sqft

16 Windy Ridge Ln

Charlton, MA 01507

$575,000

  • 4 bd
  • 3 ba
  • 1,900 sqft

61 Ramshorn Rd

Charlton, MA 01507

Go Tour This Home

It's free, with no obligation — cancel anytime

Nearby Similar Homes

Best Selling