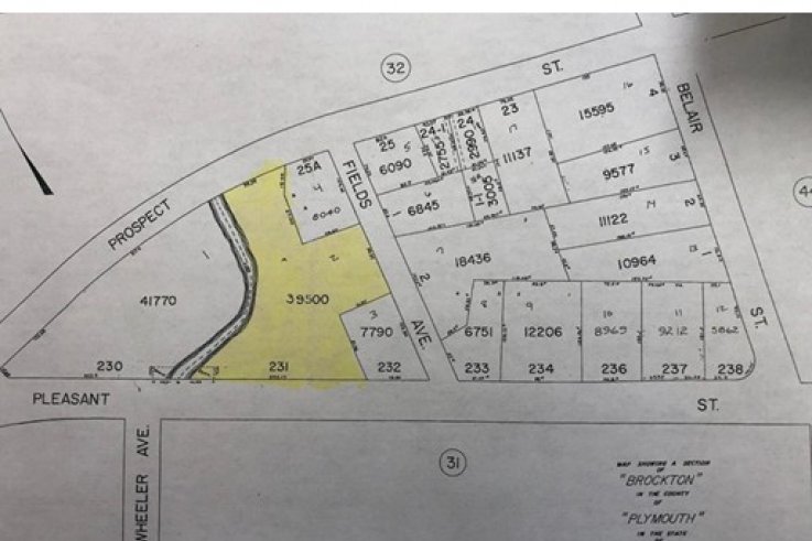
0 Pleasant St Brockton, MA 02301

Active

$275,000
Price

About

Unique parcel of land! Bring you commercial users. This lot has frontage on Pleasant Street, Fields Avenue, and on Prospect Street and is zoned C2. Great location! Buyer responsible for all approvals. Property was approved for a coffee shop and drive through at one time. Sold "as is as seen."

  • Property Type Land
  • City Brockton
  • County Plymouth
  • MLS# 72587459
  • Lot Size 39,500 sqft

Location

Interior Features

Bathroom Information

  • # of Bathrooms (Full) :
  • # of Bathrooms (1/2) :
  • Master Bathroom :

Utilities

Utilities Information

  • Water Source : At Street
  • Sewer and Water :
  • Water Front :
  • Hot Water :

Property/Lot Details

Lot Information

  • Living Area (sqft) : N/A
  • Lot Size in Acres : 0.91

Nearby Similar Homes

$324,900

  • 3 bd
  • 1 ba
  • 1,088 sqft

49 Roslyn Rd

Brockton, MA 02302

$229,900

  • 2 bd
  • 1 ba
  • 1,108 sqft

685 Oak Street # 26-7

Brockton, MA 02301

$259,900

  • 3 bd
  • 2 ba
  • 1,148 sqft

185 Colonel Bell Dr # 185

Brockton, MA 02301

$635,000

  • 5 bd
  • 3 ba
  • 2,950 sqft

38 Taber Ave

Brockton, MA 02302

$449,000

  • 4 bd
  • 1 ba
  • 1,780 sqft

21 Ash Street

Brockton, MA 02301

$225,000

  • — bd
  • — ba
  • — sqft

26 Yemmallo Dr (Lot 1)

Brockton, MA 02301

Go Tour This Home

It's free, with no obligation — cancel anytime

Nearby Similar Homes

Best Selling